Lors d'une expédition menée en 2022, des scientifiques ont découvert une étonnante route de briques jaunes au fond de l'océan. Une découverte qui interpelle et relance les explorations des grands fonds marins.
Les profondeurs des océans sont encore largement inexplorées et regorgent de secrets. En effet, nous savons encore très peu de choses sur ce qu'il y a dans l'océan. C'est le cas dans le monument national marin de Papahānaumokuākea (PMNM), situé au nord des îles hawaïennes. Ce vaste espace protégé est reconnu comme l'une des plus grandes zones de conservation marine au monde, et sa biodiversité unique en fait un terrain d'étude particulièrement précieux pour les chercheurs du monde entier.
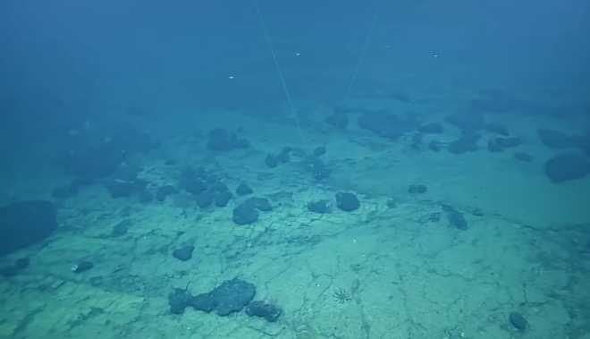
Crédit photo : EVNautilus / YouTube
Pourtant, seuls 3% de sa superficie ont été explorés à ce jour. En 2022, des scientifiques de l'Ocean Exploration Trust, l'organisation derrière le célèbre navire d'exploration Nautilus, ont mené une expédition dans cette zone et ont fait une curieuse découverte. Ils ont trouvé une route de briques jaunes au fond de l'océan, à plus de 3 000 mètres de profondeur, sur les flancs d'un ancien mont sous-marin.
Une route de briques jaunes
La vidéo de leur découverte a été partagée sur YouTube par l'équipe du Nautilus. Sur les images, on voit distinctement des briques jaunes alignées qui forment une route, comme celle du conte du Magicien d'Oz. La ressemblance est frappante : les blocs rocheux, parfaitement découpés en pavés réguliers, s'étendent à perte de vue sur le fond marin, donnant l'illusion d'une construction humaine. Depuis cette découverte, les théories les plus folles surgissent sur les réseaux sociaux : est-ce une route vers l'Atlantide ? Un vestige d'une ancienne civilisation disparue ? La comparaison avec le fameux chemin de briques jaunes du Magicien d'Oz découvert dans le Pacifique n'a pas manqué de faire le tour d'internet.
"Notre exploration de cette zone jamais étudiée auparavant aide les chercheurs à examiner de plus près la vie sur et à l'intérieur des pentes rocheuses de ces monts sous-marins profonds et anciens", ont déclaré les chercheurs de l'Ocean Exploration Trust.
Ce qui rend la scène encore plus saisissante, c'est la précision géométrique des blocs. Chaque "brique" semble taillée avec soin, formant des angles nets et une surface étonnamment plane. Sans contexte scientifique, il serait facile de croire à une intervention humaine.
Des activités volcaniques
En réalité, la formation de cette route n'aurait rien de surnaturel. Il s'agirait d'un ancien lit d'un lac asséché, façonné par la géologie et les activités volcaniques de notre planète. En effet, la roche volcanique se serait fracturée d'une manière qui ressemble étrangement à des briques. Ce phénomène naturel, bien que spectaculaire, est connu des géologues : les roches basaltiques refroidies ont tendance à se contracter et à se fissurer selon des angles très réguliers, créant parfois des structures en colonnes ou en dalles.
"Ces fractures uniques à 90 degrés sont probablement liées aux contraintes thermiques dues aux multiples éruptions de cette marge cuite", peut-on lire en description de la vidéo YouTube.
En d'autres termes, chaque cycle de refroidissement et de réchauffement lié aux éruptions volcaniques successives a sculpté la roche de façon à lui donner cette apparence structurée et organisée. Un processus naturel qui peut s'étaler sur des millions d'années et dont le résultat final ressemble, de façon troublante, à une œuvre humaine.
Cependant, cette découverte continue d'intriguer les scientifiques et renforce leur envie de poursuivre l'exploration des océans. Elle rappelle aussi que nos fonds marins recèlent encore d'innombrables phénomènes à documenter, comme en témoigne également cette cité mystérieuse vieille de 120 000 ans découverte dans l'Atlantique. Chaque plongée en eaux profondes est une nouvelle opportunité d'enrichir notre connaissance de la Terre et de son histoire géologique fascinante.
